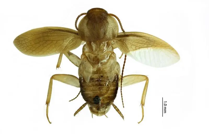
เมื่อไม่นานนี้ สำนักงานศุลกากรท่าเรือจงซาน เมืองจงซาน มณฑลกว่างตง(กวางตุ้ง) ทางตอนใต้ของจีนเปิดเผยว่าแมลงสาบตัวหนึ่ง ซึ่งถูกตรวจพบในชุดไม้ซุงที่ขนส่งมาจากทวีปอเมริกาใต้ จัดเป็นแมลงสาบสายพันธุ์ใหม่
รายงานระบุว่าสำนักงานฯ ตรวจพบแมลงลักษณะคล้ายแมลงสาบ ขณะตรวจสอบไม้ซุงที่นำเข้าจากจังหวัดเฟรนช์เกียนาของฝรั่งเศสเมื่อเดือนพฤษภาคมปีก่อน
ผลการตรวจสอบดีเอ็นเอและลักษณะทางสัณฐานวิทยาของแมลงตัวดังกล่าวไม่ตรงกับข้อมูลแมลงสาบที่มีอยู่ และผลการวิจัยเพิ่มเติมยืนยันว่ามันเป็นแมลงสาบจากตระกูลละตินเดีย (Latindia) ที่ไม่เคยมีการบันทึกสายพันธุ์มาก่อนในจีน
ทั้งนี้ ผลการวิจัยข้างต้นเผยแพร่ผ่านวารสารชีววิทยาพาหะและการควบคุมของจีน (Chinese Journal of Vector Biology and Control)

แมลงสาบจัดเป็นหนึ่งในสัตว์พาหะที่อยู่ภายใต้การเฝ้าติดตามอย่างใกล้ชิดของหน่วยงานศุลกากรเนื่องจากมันสามารถปรับตัวได้ดี มีลูกดก และอาจคุกคามสภาพแวดล้อมทางนิเวศวิทยาและสาธารณสุขของประเทศปลายทาง

ขอบคุณข้อมูล/ภาพ จาก : สำนักข่าวซินหัว (XinhuaThai)




